販売終了
商品300円割引
販売終了
25
商品説明
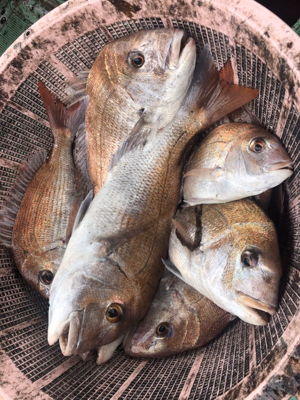
news zero出演を記念して大特価。瀬戸内海の天然真鯛神経締めセット
・1キロ(1〜2尾)
・2キロ(2〜4尾)
・3キロ(2〜6尾)⭐︎おすすめ
・箱に入るだけ(4〜5キロ)
【岡山の海】
瀬戸内海という潮流の速い所で育っているため、鳴門骨の付いた天然真鯛が高確率でいます。
そんな天然真鯛を神経締めをしてお届けします。
お刺身をはじめ、様々な料理に適しています。
【鳴門骨とは】
タイが疲労骨折を繰り返し、骨にコブが出来る症状です。
これは立派な鯛、高級な鯛として扱われています。
運が良ければ鳴門骨にも出会えますよ。
【全てのお魚に全力で向き合う】
どんな小さいお魚でも、1尾1尾きちんと丁寧に血抜きと神経締めを行います。(魚種によっては血抜きのみ)
100点は出せないかもしれませんが、全力でお魚と向き合います
【限りある資源を未来に繋げてみせる】
日本の漁獲量は年々減ってきています。
私は漁師という仕事がら現場で海を17年間、見てきているから、わかります。
皆さんが想像している以上に日本の海は痩せていっています。
なのでキレイゴトかも知れませんが、僕はこの問題に微力ながら立ち向かおう思いました。
そこで、いっかいの漁師が出来る事は必要以上に魚を獲らない事だと思い、
国内で初めて“完全受注漁”という必要とされている魚を獲るという仕組みを確立しました。
この活動は海外からも評価を頂き、国内におきましては首相官邸からも表彰を頂きました。
- 保存方法
- ナマモノですのでお早めに
- 配送方法
- ポケマル提携のヤマト便配送区分:
※こちらの商品は配送に3日以上かかるエリアにはお届けできません
- 配送料金(送料)
- お届け日指定
- 不可
お届け日の指定は受け付けていません。配送時間についてはご指定いただけます。
- 注文から発送まで
- 1~16日
- クーポン利用可否
- 不可
商品割引済みの商品のため、クーポンの利用はできません
- 支払い方法
各種クレジットカード、後払い(コンビニ/ATM)、atone 翌月払い(コンビニ/口座振替)(ご利用可能なお支払い方法について)











- 複数商品のご注文について
・複数商品の同時注文はできません。
・同じ出品者による複数商品の同梱を希望される場合は、必ずご注文前に出品者へお問い合わせください。
・ご注文後に複数注文の送料をまとめることはできません。
- 適格請求書発行事業者登録
- あり
商品をシェア
みんなの投稿
投稿はありません
同じ生産者の商品
-
-
-
-
-
-
-
-
-
-
最近見た商品
販売中の最近見た商品はありません。
同じカテゴリの商品
-
-
-
-
-
-
-
-
-
-