ポケマル/ポケットマルシェ
  1. 産直・通販のポケマル
  2. 生産者一覧
  3. 秋田県の生産者
  4. 佐藤栄治郎 | 株式会社えっこ・隆栄丸
  5. みんなの投稿

みんなの投稿

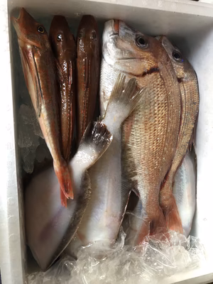
  • Jyuri

    2023.4.22
    みんなの投稿の画像
    鯛二匹、カナガシラ五匹、カレイ三枚。 鯛は中くらいかな、刺身は美味しかったです! カナガシラは少し小さめに感じました。 特に二匹はちいさかったです。 刺身美味しかったです、小さめのものはまた煮付けにします! カレイは二枚が中一枚が小でした。 二枚はカレイのカラアゲにしました。 ほんと食べ応えのある大きさで、油も程よくのりすごくおいしかったです!!! 残りはまた煮付けにします! 楽しみに待っていたので今日張り切って捌きました!楽しく美味しくいただきました。 また機会があれば頼みたいです!!!
    いいね!
    佐藤栄治郎 | 株式会社えっこ・隆栄丸

    佐藤栄治郎 | 株式会社えっこ・隆栄丸

    2023.4.22
    この度はご注文いただきありがとうございました🙇‍♂️ またのご利用お待ちしております🙇‍♂️
  • akoyone

    2023.4.21
    みんなの投稿の画像
    立派なミズカレイ、のどぐろ、スルメイカ。 沢山有難うございました。 どうやって食べるか今から考えます。楽しみです。 特に、今年の東京は良いスルメイカが入手困難でしたのでワクワクです。
    1
    佐藤栄治郎 | 株式会社えっこ・隆栄丸

    佐藤栄治郎 | 株式会社えっこ・隆栄丸

    2023.4.21
    この度はご注文いただきありがとうございました🙇‍♂️ 秋田では毎年6月がイカの時期です🦑 またのご利用お待ちしております🙇‍♂️
  • ちょふ

    ちょふ

    2023.4.21
    みんなの投稿の画像
    びっくりするくらいたくさん届きました!\(^o^)/ 何を作ろうかな。 お刺し身や煮付け、焼き物、唐揚げ、アクアパッツア、そんな感じで楽しみたいと思います! またリピートしちゃうかも(*^^*)
    1
    佐藤栄治郎 | 株式会社えっこ・隆栄丸

    佐藤栄治郎 | 株式会社えっこ・隆栄丸

    2023.4.21
    この度はご注文いただきありがとうございました🙇‍♂️ またのご利用お待ちしております🙇‍♂️
  • Shigeha

    2023.4.21
    みんなの投稿の画像
    初めて利用させていただきました! アジ、タイ、カレイをこんなに入れていただきありがとうございます! さかな好きの息子が早速タイを捌いていました♪ 大変喜んでおります。美味しく頂きます。 またお願いしたいと思います。 日々の出航ご安全に、豊漁をお祈りしております!!
    1
    佐藤栄治郎 | 株式会社えっこ・隆栄丸

    佐藤栄治郎 | 株式会社えっこ・隆栄丸

    2023.4.21
    この度はご注文いただきありがとうございました🙇‍♂️ またのご利用お待ちしております🙇‍♂️
  • あんみつひめ

    あんみつひめ

    2023.4.19
    みんなの投稿の画像
    新鮮な鯛、笠子、鯵がたくさん届きました🐟 海の都合で発送が遅くなる旨のご連絡いただき、安心して待つことができました。お忙しい中、丁寧なご対応ありがとうございました。 届いてすぐに小学生の娘と手分けして捌き、鯛めし、潮汁、お刺身、唐揚げ、ソテーにしていただきました。 どの魚も目玉が透明に透き通り、身もしっかりとしていて、特に笠子と鯛のお刺し身は弾力がすごくてとても美味しかったです! カサゴとアジの骨は骨せんべいに、内臓は娘の観察用に😅 家族みんなで余すところなく楽しませてもらっています。 鯵は干物も仕込んだのでこちらも楽しみです。 美味しい魚、たくさんごちそうさまでした🐟
    1
    佐藤栄治郎 | 株式会社えっこ・隆栄丸

    佐藤栄治郎 | 株式会社えっこ・隆栄丸

    2023.4.20
    この度はご注文いただきありがとうございました🙇‍♂️ 娘さん、内臓の観察するんですね🤣 またのご利用お待ちしております🙇‍♂️
  • kusa2363

    2023.4.10
    たくさんの種類の魚達ありがとうございました! どれも新鮮で美味しかったです!
    1
    佐藤栄治郎 | 株式会社えっこ・隆栄丸

    佐藤栄治郎 | 株式会社えっこ・隆栄丸

    2023.4.10
    この度はご注文いただきありがとうございました🙇‍♂️ またのご利用お待ちしております🙇‍♂️
  • KG

    2023.4.6
    みんなの投稿の画像
    蓋を開けた瞬間顔がニヤけました😁 子供の好きな天ぷらや唐揚げ、干物で頂きます!
    2
    佐藤栄治郎 | 株式会社えっこ・隆栄丸

    佐藤栄治郎 | 株式会社えっこ・隆栄丸

    2023.4.6
    この度はご注文いただきありがとうございました🙇‍♂️ またのご利用お待ちしております🙇‍♂️
  • みい

    2023.4.6
    みんなの投稿の画像
    このお値段で、本当に良いの❓…と家族と驚きながらも感謝しつつ、早速下拵え始めました。 タイはお刺身、昆布締め、塩釜焼き、カレイは煮付け、ホウボウは唐揚げにする予定です。 ありがとうございました。
    1
    佐藤栄治郎 | 株式会社えっこ・隆栄丸

    佐藤栄治郎 | 株式会社えっこ・隆栄丸

    2023.4.6
    この度はご注文いただきありがとうございました😊 またのご利用お待ちしております🙇‍♂️
  • Mi

    Mi

    2023.4.5
    昨日届きました!カレイとイシモチ、アラが入ってました。イシモチはなんとなーく聞いたことあるかな?って魚でしたがアラは初めてでした。 全種類、少しずつ刺身に。みんな新鮮で美味しかったけど、アラは格別でした! あとはカレイを煮ました。 スーパーのカレイを煮ても子供たちは食べてくれないのに、このカレイはパクパクおかわり!鮮度だけでこんなに違う?種類? カレイだけ一箱でも食べきれるな!とおもいました。 今日は他の魚を調理します! 美味しい魚をありがとうございます! また注文しますね!
    1
    佐藤栄治郎 | 株式会社えっこ・隆栄丸

    佐藤栄治郎 | 株式会社えっこ・隆栄丸

    2023.4.5
    この度はご注文いただきありがとうございました😊 お子さんにも喜んでもらえて嬉しいです😆 またのご利用お待ちしております🙇‍♂️
  • ジャム爺

    ジャム爺

    2023.4.4
    みんなの投稿の画像
    鮮度抜群のタイ、イシモチ、カレイが届きました! 早速、1番大きいタイを刺身で、カレイを唐揚げにして頂きました。凄く美味しかったです! 美味しい魚をありがとうございました!
    1
    佐藤栄治郎 | 株式会社えっこ・隆栄丸

    佐藤栄治郎 | 株式会社えっこ・隆栄丸

    2023.4.5
    この度はご注文いただきありがとうございました🙇‍♂️ またのご利用お待ちしております🙇‍♂️
91-100表示/479件中